
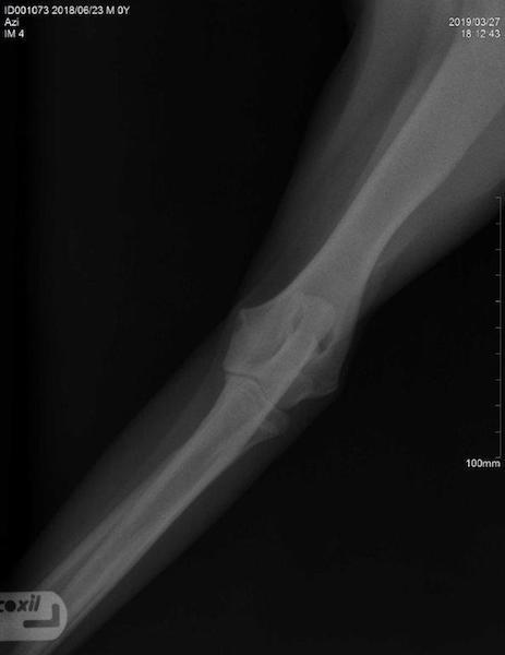
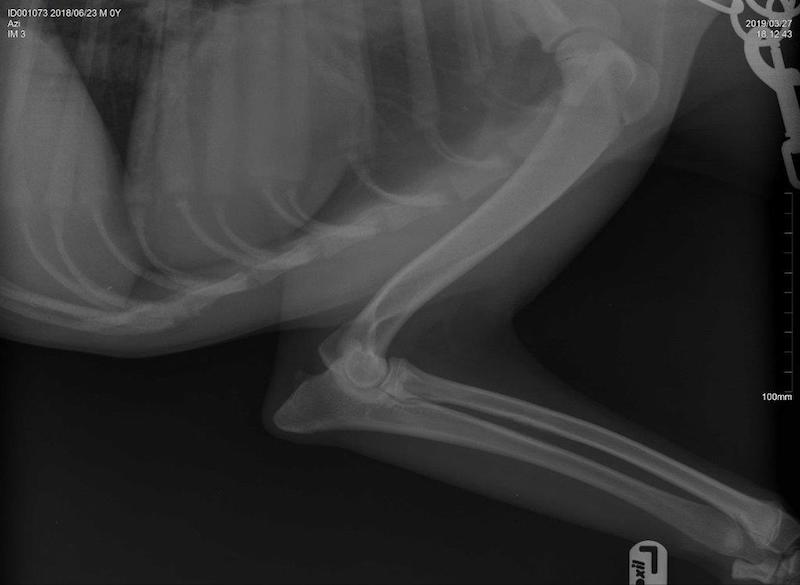
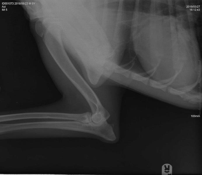
DOG INFO:
…
For privacy reasons YouTube needs your permission to be loaded. For more details, please see our Zásady ochrany osobných údajov.
For privacy reasons YouTube needs your permission to be loaded. For more details, please see our Zásady ochrany osobných údajov.
For privacy reasons YouTube needs your permission to be loaded. For more details, please see our Zásady ochrany osobných údajov.
continue reading















